Where Is Cyclone Eloise Now : Bajirowu7g6klm - Cyclone eloise made landfall in central mozambique on saturday morning (january 23), hitting an area already submerged by floodwaters and still recovering from cyclone idai less than two years ago.

Where Is Cyclone Eloise Now : Bajirowu7g6klm - Cyclone eloise made landfall in central mozambique on saturday morning (january 23), hitting an area already submerged by floodwaters and still recovering from cyclone idai less than two years ago.. Rumble — cyclone eloise made landfall in central mozambique on saturday morning (january 23). There is a major risk of coastal flooding. The united nations is concerned about the prospect of. 'caillou' is canceled and parents are celebrating. But since idai, people now know what a cyclone is and they take it seriously, van wyk said.

This is the same area that was hit by cyclone idai less than two years ago. Tropical cyclone eloise is moving wsw over the mozambique channel, towards the central coast of mozambique. Tropical cyclones are hurricanes, but the term cyclones is used to describe both hurricanes and typoons due to the system of clouds and thunderstorms that. Eloise is forecast to lose strength as it moves across land, while still dumping rain in eastern and northern south africa, where the nation generates most of its. The cyclone is expected to make landfall near beira in central mozambique in the early hours local time on saturday, according to the world meteorological organization.

Bajirowu7g6klm
Bajirowu7g6klm from ichef.bbci.co.uk
Cyclone eloise to cross northeastern coast of madagascar around 19 th jan night 2021 note :for official weather report look for the report of your regional. Today, gorkhmaz huseynov, head of the mozambique delegation of the international federation of red cross, told reuters. Tropical cyclone eloise made landfall in mozambique early saturday at a key port before weakening, as heavy rains head toward south africa. Cyclone eloise made a landfall in mozambique on friday before drifting towards eastern zimbabwe and dumping a deluge over parts of the eastern highlands. 'caillou' is canceled and parents are celebrating. Rumble — cyclone eloise made landfall in central mozambique on saturday morning (january 23). The united nations is concerned about the prospect of. Eloise made landfall around 2:30 a.m.

High winds, heavy rainfall and dangerous sea conditions are to be expected.

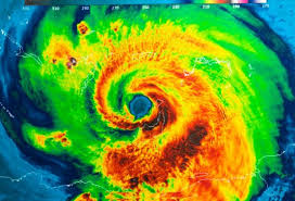
Cyclone eloise made a landfall in mozambique on friday before drifting towards eastern zimbabwe and dumping a deluge over parts of the eastern highlands. Chipinge district cpu chairperson, mr william mashava, said authorities were monitoring the situation. Rumble — cyclone eloise made landfall in central mozambique on saturday morning (january 23). Eloise made landfall around 2:30 a.m. The storm will continue to press inland over the weekend, bringing heavy rain and gusty winds to mozambique, zimbabwe and northern south africa. But since idai, people now know what a cyclone is and they take it seriously, van wyk said. Chris neeson, who works for the un in beira said: Barely two years after tropical cyclone idai and cyclone kenneth battered mozambique, the country is now experiencing tropical cyclone eloise which made landfall early saturday. Tropical cyclone eloise is taking advantage of warm ocean waters as it strengthens before making landfall in mozambique. There is a major risk of coastal flooding. Where is the storm now? Tropical cyclone 'eloise' hitting northeast mozambique, africa_144p. In this region 3 different areas are responsible for names depending on where the storm originally forms.

Tropical cyclone eloise is moving wsw over the mozambique channel, towards the central coast of mozambique. 'caillou' is canceled and parents are celebrating. Tropical cyclone eloise made landfall in mozambique early saturday at a key port before weakening, as heavy rains head toward south africa. Rumble — cyclone eloise made landfall in central mozambique on saturday morning (january 23). Tropical cyclone eloise has hit mozambique, bringing rain and powerful winds of around 130 kilometers per hour.

Wf0tve 8wbbjdm
Wf0tve 8wbbjdm from cdn.24.co.za
Tropical cyclone 'eloise' hitting northeast mozambique, africa_144p. Tropical cyclone eloise is taking advantage of warm ocean waters as it strengthens before making landfall in mozambique. Cyclone eloise to cross northeastern coast of madagascar around 19 th jan night 2021 note :for official weather report look for the report of your regional. There is a major risk of coastal flooding. Tropical cyclone eloise strengthens before imminent mozambique landfall. Check it out latest details about where is cyclone nisarga now? The first victim was found upstream. Today, gorkhmaz huseynov, head of the mozambique delegation of the international federation of red cross, told reuters.

Chris neeson, who works for the un in beira said:

Tropical cyclone eloise has hit mozambique, bringing rain and powerful winds of around 130 kilometers per hour. Tropical cyclone eloise hitting northeast mozambique, africa. Nevertheless, the proximity to the land may limit the potential for intensification. There is a major risk of coastal flooding. The storm will continue to press inland over the weekend, bringing heavy rain and gusty winds to mozambique, zimbabwe and northern south africa. Tropical cyclones are hurricanes, but the term cyclones is used to describe both hurricanes and typoons due to the system of clouds and thunderstorms that. But since idai, people now know what a cyclone is and they take it seriously, van wyk said. The stage of an intense tropical cyclone is not excluded but becomes unlikely, the center said. Cyclone map india | cyclone live map, it is moving with a speed of about 14 kmph. Eloise is the second cyclone to hit central mozambique this season, after chalane in december. Tropical cyclone 'eloise' hitting northeast mozambique, africa_144p. Cyclone eloise to cross northeastern coast of madagascar around 19 th jan night 2021 note :for official weather report look for the report of your regional. Chipinge district cpu chairperson, mr william mashava, said authorities were monitoring the situation.

Eloise is forecast to lose strength as it moves across land, while still dumping rain in eastern and northern south africa, where the nation generates most of its. Eloise is the second cyclone to hit central mozambique this season, after chalane in december. The first victim was found upstream. The cyclone is still in the territory of mozambique and should make an exit at 8 p.m. Cyclone fani has torn down the bay of bengal with severe winds pushing 125mph over the last two days.

Ucr Pdcs 0ah2m
Ucr Pdcs 0ah2m from storage.googleapis.com
Cyclone eloise made landfall in central mozambique on saturday morning (january 23), hitting an area already submerged by floodwaters and still recovering from cyclone idai less than two years ago. This is the same area that was hit by cyclone idai less than two years ago. Today, gorkhmaz huseynov, head of the mozambique delegation of the international federation of red cross, told reuters. Cyclone map india | cyclone live map, it is moving with a speed of about 14 kmph. Barely two years after tropical cyclone idai and cyclone kenneth battered mozambique, the country is now experiencing tropical cyclone eloise which made landfall early saturday. In this region 3 different areas are responsible for names depending on where the storm originally forms. Cyclone eloise made a landfall in mozambique on friday before drifting towards eastern zimbabwe and dumping a deluge over parts of the eastern highlands. The storm will continue to press inland over the weekend, bringing heavy rain and gusty winds to mozambique, zimbabwe and northern south africa.

Tropical cyclone eloise hitting northeast mozambique, africa.

High winds, heavy rainfall and dangerous sea conditions are to be expected. Tropical cyclone and hurricane names. The united nations is concerned about the prospect of. But since idai, people now know what a cyclone is and they take it seriously, van wyk said. 'caillou' is canceled and parents are celebrating. Mozambique says cyclone eloise is expected to make landfall saturday morning in the central region that saw hundreds of people killed in flooding in the wake of nairobi, kenya (ap) — a cyclone is bearing down on a region of mozambique that's still recovering from a devastating storm two years ago. » «inhabitants are urged to follow advice and warnings from local. Eloise is forecast to lose strength as it moves across land, while still dumping rain in eastern and northern south africa, where the nation generates most of its. According to news reports, eloise has the potential to strengthen even more, leading to flooding and damage across areas that were devastated by tropical. The stage of an intense tropical cyclone is not excluded but becomes unlikely, the center said. There is a major risk of coastal flooding. Cyclone gita continued to intensify as it howled towards vanuatu after hitting fiji on february 14. The cyclone is still in the territory of mozambique and should make an exit at 8 p.m.

Iklan Atas Artikel

Iklan Tengah Artikel 1

Iklan Tengah Artikel 2

Iklan Bawah Artikel